Warszawa/ mazowieckie
Ogłoszenie dodane: 23.08.2025
Do sprzedaży oferujemy działkę budowlaną pod inwestycję mieszkaniową jednorodzinną.
Wydana WZ-ka na budynki w dniu 12.01.2021.
Warszawa, Włochy - Okęcie ul. Na Skraju
Przystanek autobusowy na początku i na końcu działki.
Lokalizacja działki:
- 100 m od otwartej trasy S2.
- 1000 m od Al. Krakowskiej
Teren inwestycyjny 3 ha w cenie 910 zł/m , blisko Alei Krakowskiej i obwodnicy Warszawy.
Działki są w pełni uzbrojone. Media w ulicy Na Skraju: prąd, woda, gaz, telefon, kanalizacja.
Na zdjęciu oznaczone na żółto trasa S2, a na zielono ulica Na Skraju
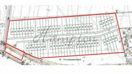
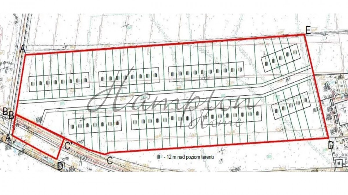
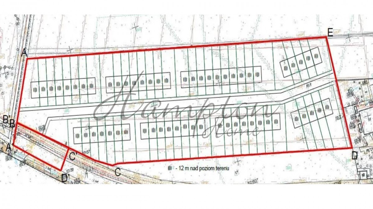
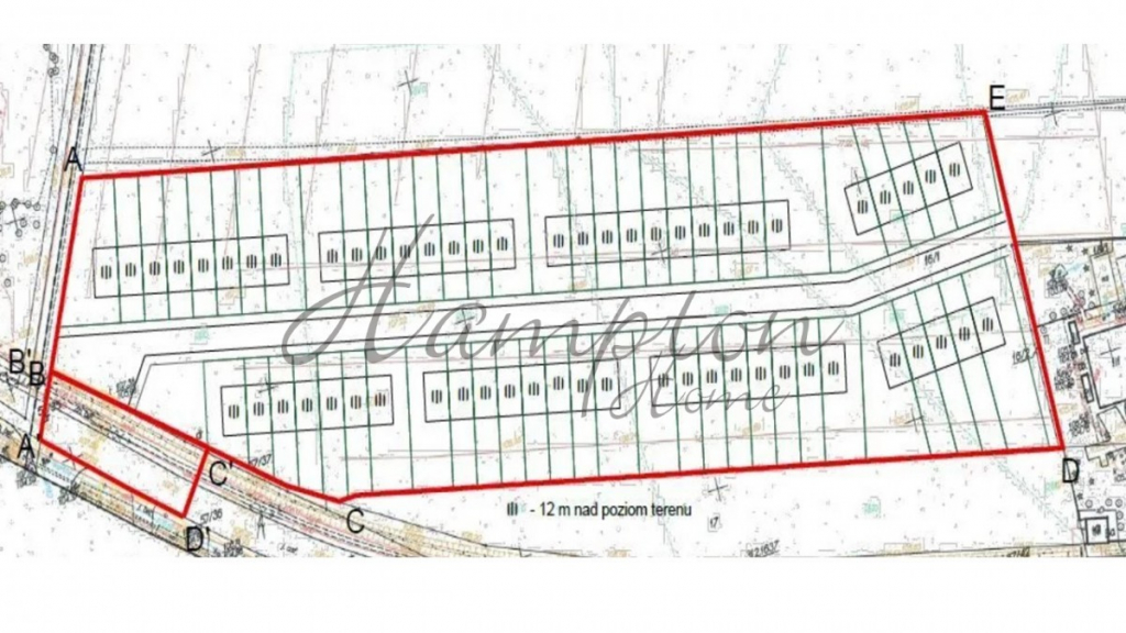
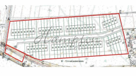
Warunki zabudowy z dnia 12.01.2021 dla 39 budynków jednorodzinnych na 1 z 3 działek tj. 1ha.
Wydane warunki zostały do wniosku dotyczącego działki 1ha. Do sprzedaży jest teren składający się z 3 działek tj. 3ha.
Wystąpiono o Warunki zabudowy dla inwestycji składającej się z 116 budynków jednorodzinnych 3 kondygnacyjnych w zabudowie szeregowej.
Budynki usytuowane są w ciągach od 4 do 10 budynków obok siebie. Każdy z nich ma pow. zabudowy ok. 60 m2.
Powierzchnia działek dla każdego z budynków to od 120 m2 do 300 m2.
Orientacyjne wartości dla tej inwestycji:
- PUM jednego domu ok. 150 m2
- PUM 116 budynków ok. 17400 m2
Otrzymane zapewnienia od poniższych gestorów:
Prąd - dla powyższej inwestycji przewidziano na 2021 r.
Gaz - dla powyższej inwestycji przewidziano na koniec 2021 r.
Woda - dla powyższej inwestycji przewidziano na 2021 r.
Kanalizacja - dla powyższej inwestycji przewidziano na 2023 r.
Zapraszam serdecznie do kontaktu.
Dla Państwa wygody odbieramy telefony od poniedziałku do piątku w godzinach od 9:00 do 20:00, w sobotę 10:00 do 14:00.
Jesteśmy do Państwa dyspozycji w naszym biurze na Marinie Mokotów od poniedziałku do piątku w godz.od 10:00 do 19:00, w sobotę 10:00 do 14:00
*** Większość naszych klientów pochodzi z polecenia wiec będziemy wdzięczni jeśli polecą nas Państwo Swoim znajomym i przyjaciołom ***
Niniejsza informacja nie stanowi oferty w rozumieniu Kodeksu Cywilnego. Dokładamy wszelkich starań, aby informacje dotyczące oferowanych obiektów były możliwie dokładne, kompletne i aktualne. Ze względu jednak na fakt, iż informacje te pochodzą od osób trzecich i nie zawsze dają się zweryfikować, firma Hampton Home nie ponosi odpowiedzialności za ich dokładność, kompletność oraz aktualność. W przypadku transakcji pobieramy wynagrodzenie w formie prowizji za wykonaną usługę pośrednictwa.
Administratorem Twoich danych osobowych przetwarzanych w celu udzielenia odpowiedzi na skierowane mailowo, telefonicznie lub osobiście zapytanie jest Hampton Home Beata Wróblewska z siedzibą w Warszawie przy ul. Przejazd 4lok.U4, 02-654 Warszawa. Przysługuje Ci prawo żądania dostępu do danych, ich sprostowania, usunięcia, ograniczenia przetwarzania, prawo do wniesienia sprzeciwu wobec przetwarzania, a także prawo do przenoszenia danych oraz wniesienia skargi do Prezesa Urzędu Ochrony Danych Osobowych. Pełną treść Klauzuli Informacyjnej oraz więcej informacji o przetwarzaniu Twoich danych znajdziesz na naszej stronie internetowej w zakładce RODO - Klauzule Informacyjne.



