Kostrzyn/ poznański/ wielkopolskie
Ogłoszenie dodane: wczoraj 22:01:02
Na sprzedaż świetnie zlokalizowana działka pod Aktywizację Gospodarczą w Kostrzynie!
Możliwa działalność produkcyjna, usługowa oraz handlowa.
Nieruchomość objęta jest miejscowym planem zagospodarowania przestrzennego.
Znakomita lokalizacja:
- bliskość szybkiej trasy S5, drogi krajowej 92 i autostrady A2,
- do Poznania ok 25 km,
- ok 13 km do autostrady,
- ok 3 km do drogi ekspresowej S5.
Bezpośredni dojazd do działki drogą asfaltową.
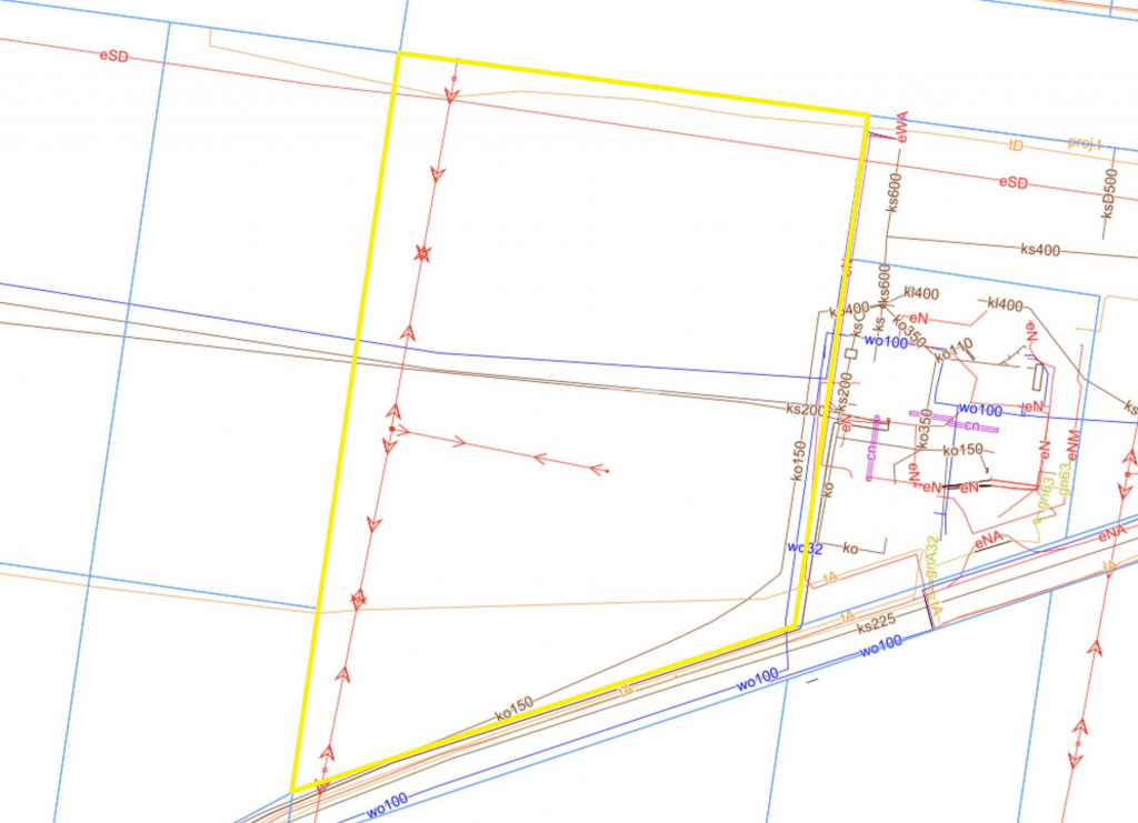
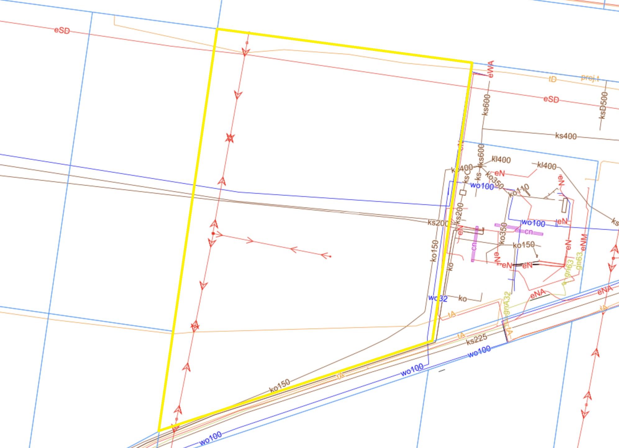
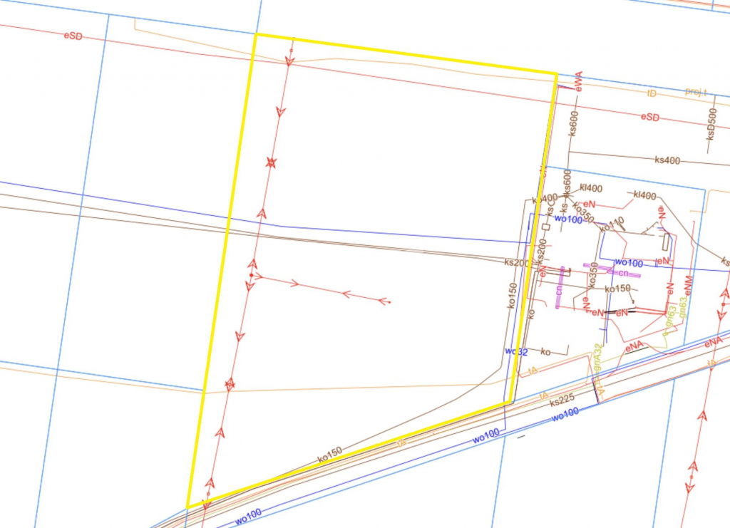
Działka o powierzchni ok 1,6 ha w kształcie trapeza prostokątnego o wymiarach:
- 110m (tył działki),
- 120m (prawy bok),
- 122m (front działki),
- 173m (lewy bok).
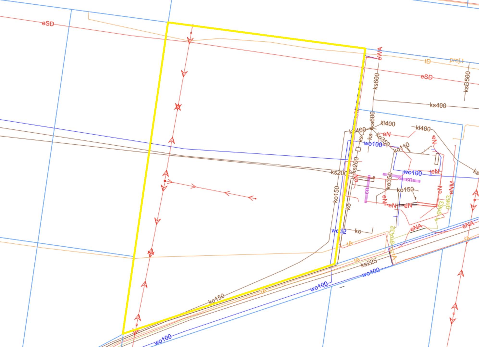
Jednakże, ze względu na zapisy planu miejscowego powierzchnia nadająca się do zabudowy ograniczona jest poprzez wyznaczoną nieprzekraczalną linię zabudowy oraz biegnące przez działkę przewody wodociągu i kanalizacji.
Orientacyjną powierzchnię nadającą się do zabudowania zaznaczono na jednym ze zdjęć kolorem zielonym.
Obecnie są to dwie strefy o orientacyjnych wymiarach:
- północna: 26-33 m x 83 m
- południowa: 43-71 m x 85 m
Wzdłuż północnej, zachodniej i południowej granicy działki zapisano w planie miejscowym lokalną drogę publiczną (stąd tak głęboko wprowadzona na działkę ww. nieprzekraczalna linia zabudowy).
Istnieje również możliwość dokupienia gruntu po drugiej stronie ulicy - ok 2,76ha - bez takich ograniczeń w zabudowie. Jednak tam już nie obowiązuje plan miejscowy (konieczność wystąpienia o warunki zabudowy).
Na jednym ze zdjęć zaznaczono orientacyjnie położenie dodatkowego gruntu.
Oferowana nieruchomość stanowi niezwykle atrakcyjną inwestycję, także pod kątem możliwości jej późniejszego podziału na działki o minimalnej powierzchni 3.000 m2.
Wszystkie potrzebne media w przyległej (gminnej) drodze lub w działce:
- energia elektryczna,
- wodociąg,
- kanalizacja,
- gaz.
Przez działkę przebiegają niektóre media - zaznaczone na jednym ze zdjęć.
Z uwagi na brak formalnego uregulowania przebiegu przez działkę wodociągu i kanalizacji, zakład komunalny jest otwarty na rozmowy o przeniesieniu tych sieci - w takim wypadku rzecz jasna powiększą się ww. strefy przeznaczone na zabudowę.
Od kilku lat gmina Kostrzyn jest jednym z najbardziej dynamicznie rozwijających się miejsc w regionie, co powoduje spore zainteresowanie szeroko pojętego biznesu.
Podstawowe ustalenia miejscowego planu zagospodarowania przestrzennego (Uchwała III/11/2002 z dnia 2002-12-12):
- grunt pod aktywizację gospodarczą, działalność produkcyjną, usługową, a także działalność handlową (ta ostatnia o powierzchni sprzedażowej poniżej 1000m2),
- zabudowa do 4 kondygnacji lub do 12m licząc od okapu do powierzchni terenu,
- intensywność zabudowy: do 60% (stosunek powierzchni zainwestowanej do powierzchni terenu),
- zagospodarowanie zielenią: powyżej 25%,
- minimalna powierzchnia nowo wydzielonej działki: 3.000 m2.
Nieruchomość sprzedawana jest przez osobę prywatną (Podatek PCC - bez podatku VAT).
Polecamy i zapraszamy!
Kontakt:
Artur Mokracki
Biuro nieruchomości ASTONS
tel. 696-833-453
e-mail: artur.mokracki@astons.pl
www.astons.pl
DODATKOWE INFORMACJE:
Typ własności: własność
Kanalizacja: miejska
Prąd: jest
Gaz: jest
Woda: wodociąg
Kształt działki: trapez
Długość działki: 120
Szerokość działki: 122
Typ drogi: asfaltowa
Typ ogrodzenia: brak
Typ ulicy: lokalna
Wysokość zabudowy: 12
Warunki zabudowy: plan miejscowy
Pozwolenie na budowę: nie
Odpis KW: nie
Plan zagospodarowania: tak
Wypis z rejestru gruntów: tak
Wyrys z rejestru gruntów: tak
Wypis z planu zagospodarowania: tak
Zaświadczenie z US: nie
Akt nabycia: tak
Mapka syt.: tak
Postępowanie spadkowe w toku: nie
Typ działki: usługowa
DANE KONTAKTOWE:
Artur Mokracki
696-833-453
artur.mokracki@astons.pl
Przedstawione dane mają charakter informacyjny i nie stanowią oferty w rozumieniu przepisów Kodeksu cywilnego.
SERDECZNIE ZAPRASZAMY DO KONTAKTU Z NASZYM BIUREM NIERUCHOMOŚCI.
WSZYSTKIE TRANSAKCJE PRZEPROWADZANE PRZY UDZIALE NASZEGO BIURA NADZOROWANE SĄ PRZEZ LICENCJONOWANEGO POŚREDNIKA I JEDNOCZEŚNIE PRAWNIKA. BIURO ASTONS NIERUCHOMOŚCI JEST UBEZPIECZONE OD ODPOWIEDZIALNOŚCI CYWILNEJ ZA WYKONYWANE CZYNNOŚCI POŚREDNICTWA. NIEODPŁATNIE POMAGAMY W WYBORZE NAJKORZYSTNIEJSZEGO FINANSOWANIA KREDYTOWEGO.
ŚWIADCZYMY PROFESJONALNE USŁUGI W ZAKRESIE POŚREDNICTWA PRZY SPRZEDAŻY, WYNAJMIE, JAK I KUPNIE NIERUCHOMOŚCI GŁÓWNIE NA TERENIE POZNANIA I OKOLIC.
WWW.ASTONS.PL


